A Lagoa Pequena que já foi menor: chuva expõe herança da pressão urbana em Florianópolis

31/10/2022 às 10h00
Foto de Felipe Bottamedi

Felipe Bottamedi Florianópolis

Receba as principais notícias no WhatsApp

Flexibilização em lei municipal impulsionou urbanização no entorno da Lagoinha, cujo sufocamento levou à construção de uma estrada clandestina na sua borda. Nestes dez anos em que ela retomou seu tamanho original, atrai cada vez mais banhistas, mas chuvas acendem alerta para necessidade de infraestrutura

Lagoa Pequena – Foto: Jacson Botelho/NDLagoa Pequena – Foto: Jacson Botelho/ND

Continue lendo: Lagoas ameaçadas na Ilha da Santa Catarina

A Lagoa Pequena tem sua história marcada pelo tamanho. Localizada no Rio Tavares, no Sul da Ilha, é a única de Florianópolis cujo nome remete às suas dimensões. Suas águas têm história: a lagoa chegou a ter seus limites disputados na Justiça por duas décadas.

A ameaça contra a sua existência foi ampliada com uma canetada da Prefeitura de Florianópolis em 1992, que reduziu sua área de preservação (então estabelecida com um decreto de tombamento) e estimulou a urbanização no entorno. Os anos seguintes foram marcados pelo aumento progressivo da pressão urbana na região.

Três décadas depois, os períodos de chuva escancaram a ocupação desordenada com as altas concentrações de coliformes fecais na lagoa.

A reportagem teve acesso a um processo que tramitou a partir daquele ano de 1992 e cujo desfecho ocorreu em 2019. Estudos, sentenças, relatórios de fiscalização, denúncias, ações, fotos aéreas, entre outros documentos, reconstituem o passado de uma lagoa ameaçada nas suas bordas.

No cerne do conflito estão três fatores: o aterramento de uma das suas extremidades para a construção de uma rua, o aprofundamento de um canal que a ligava com o mar e a flexibilização de seus limites de proteção.

Seu nome oficial é Lagoa Pequena. Normalmente ela possui 10,26 hectares de espelho d’água, o que equivale a dez campos de futebol – o tamanho, entretanto, varia conforme as chuvas. Entre os moradores do Rio Tavares sempre foi conhecida como Lagoinha. Existe ainda uma mescla: Lagoinha Pequena, ressaltando duas vezes que é “caçulinha” de sua categoria.

Todos esses nomes, no entanto, já não fazem mais jus à realidade de hoje: a vizinha Lagoa Chica passou a ser a menor entre as três lagoas do Sul da Ilha de Santa Catarina, enquanto a Lagoa do Peri é a maior.

Sangra, lavadeiras e espaço de recreação

Nos últimos 60 anos a Lagoa Pequena teve todo tipo de uso pela comunidade que a rodeia, conta Valter Euclides das Chagas, o Valtinho. Quando menino ele via esse importante afloramento do lençol freático da Planície do Campeche (quando as águas subterrâneas ficam tão próximas do solo que submergem) virar lugar para lavar tripa de boi. A prática era chamada “Sangra” pelos moradores do Rio Tavares: os bois eram mortos no entorno, que era pasto, e tinham suas vísceras lavadas nas águas da Lagoinha. “Onde vai? Vou lá na Sangra. Era referência da comunidade”, lembra Valtinho, hoje com 64 anos.

Valtinho acompanhou transformações na lagoa – Foto: Arquivo/Andréa da Luz/NDValtinho acompanhou transformações na lagoa – Foto: Arquivo/Andréa da Luz/ND

Curiosamente também era onde as lavadeiras do bairro banhavam as roupas (mas o sangue do gado não chegava a atingir o tecido). “Não era todo mundo que tinha animal”, pontua Valtinho. Lá onde antigamente estava a Sangra, hoje fica uma Base de Educação Ambiental da Floram (Fundação Municipal do Meio Ambiente), em meio à vegetação de restinga que abriga lagartos-papo-amarelo, jalapas-do-brejo, gaviões-carijó, entre outras espécies.

De lá para cá o significado da Lagoinha passou por transformações. Nascido a cerca de 2 km daquelas águas, na rua Pau de Canela, Valtinho sempre esteve ligado às mudanças vividas pelo Rio Tavares, seja como morador, superintendente do bairro ou vereador de Florianópolis (cargos ocupados entre os anos 1980 e 90). As mudanças que mais chamam a atenção na área são a conquista da preservação, o avanço da pressão urbana e o uso cada vez mais expressivo da Lagoinha como espaço para mergulhos e recreação.

Lagoa Pequena – Foto: Leo Munhoz/NDLagoa Pequena – Foto: Leo Munhoz/ND

“Hoje se toma mais banho do que nunca! Nunca vi tanta gente como nesse ano que passou. Neste verão de 2022 fiquei surpreso com o número de pessoas entrando na Lagoinha”, observa. “E nem é tanto nativo, mas principalmente o ‘pessoal de fora’”, destaca.

“É quem não gosta de mar e prefere lagoa. A constante fiscalização feita por moradores e pela Amocam (Associação dos Moradores do Campeche) também contribui para ela ser limpa”, diz o aposentado, ao revelar que também usava as águas para diversão. “Nós tomávamos ‘banho em couro’, pelado, para não apanhar”, conta Valtinho sobre a tática para não molhar as roupas e assim enganar os pais.

Guerra de canetadas e decisões

O crescimento urbano no Sul da Ilha a partir dos anos 1970 imprimiu um outro traço para a região, estimulando também transformações no uso da lagoa. O entorno dela, que antes era pasto para gado, serviço para lavadeiras e terreno de agricultura, começou a abrigar mais construções. Para proteger a Lagoinha, o então prefeito Edison Andrino (PMDB) assinou em 1988 o decreto que a tombava e protegia suas proximidades.

Lagoa Pequena – Foto: Leo Munhoz/NDLagoa Pequena – Foto: Leo Munhoz/ND

A partir de então a lagoa e parte do entorno passou a ser classificada como AVL (Área Verde de Lazer), conforme o Plano Diretor da época (1985), que definia “espaços urbanos ao ar livre, de uso público ou privado, que se destinam à criação ou preservação da cobertura vegetal, à prática de atividades de lazer e recreação, e a proteção ou ornamentação de obras viárias”.

A Lagoa Pequena passava a ter uma área de amortecimento no seu entorno, fundamental para preservar seu espaço alagadiço e garantir que a água infiltrasse corretamente no solo, chegando com qualidade para o sistema. Ao todo, a nova área protegida tinha 354,9 mil m², incluindo a lagoa. Era o primeiro esforço para preservá-la. Os limites estabelecidos por aquele tombamento são adotados atualmente (confira no infográfico abaixo).

Área de proteção da Lagoa Pequena – Foto: Divulgação/NDÁrea de proteção da Lagoa Pequena – Foto: Divulgação/ND

Entretanto, sete anos mais tarde uma canetada mudou tudo. O prefeito que sucedeu Andrino, Antônio Henrique Bulcão Viana (PFL) assinou decreto em 1992 que destombava a Lagoa Pequena e transformava parte da AVL em ATR (Áreas Turísticas Residenciais). A nova categoria era bem diferente da anterior: segundo o mesmo Plano Diretor, essa classificação permitia “concretar equipamentos, edificações, empreendimentos que sirvam ao turismo”.

Durante quatro anos a flexibilização esteve em voga, até que a Justiça a considerou ilegal em 1996. Na sentença, o então juiz Volnei Ivo Carlin concluiu que a Prefeitura de Florianópolis desrespeitou suas obrigações, previstas em Lei Federal, para com a preservação do meio ambiente. A área destombada para a urbanização era formada por vegetação de restinga. A sua remoção, tal como a terraplanagem do entorno, representava risco para o assoreamento da lagoa, uma vez que a chuva e o vento levariam o material arenoso para dentro da água – o que a faria perder seu volume.

O processo judicial tinha como alvo três ameaças contra a lagoa: o decreto de Andrino, que virou lei após aprovação da Câmara de Vereadores; a construção de uma rua em meio a um trecho que permanecia classificado como AVL, mesmo na nova lei; e a construção de um canal para diminuir o volume da Lagoinha – e garantir que a nova rua não sofresse com inundações.

Nesse período o destombamento parcial da Lagoa Pequena resultou “em um processo de ocupação e urbanização descontrolado que tem devastado até mesmo a pequena parte que restou protegida pelo último decreto”, registrou o juiz Carlin na época. Com a sentença, a proteção no entorno da lagoa voltava aos perímetros originais.

Uma rua cortando a lagoa

Curiosamente o trecho liberado para o avanço da urbanização, uma área de 32 mil m² na parte leste da lagoa, próxima ao mar, não teve interferência humana e permanece até hoje preservado. Entretanto a liberação estimulou a pressão urbana no corpo d’água, destaca a Justiça, impulsionada também por imprecisões no novo mapeamento.

O principal conflito que emergiu naquele período – e que persistiu até 2010 – diz respeito a uma rua construída na margem Sul da Lagoinha, em um trecho inundável. O imbróglio envolvendo a rua e a inconstitucionalidade do decreto faziam parte do mesmo processo.

Antes chamada de Picada do Lico, a via foi cercada, aterrada e transformada em uma estrada. Com uma extensão de 250 metros, ela ampliava a atual rua das Gaivotas, conectando as duas laterais da Lagoinha. Manoel Borba, cujos dois filhos foram réus no processo, defende que a família tem a posse do terreno.

Arte: Gil Jesus/NDArte: Gil Jesus/ND

Com a derrota judicial, a família e a Prefeitura de Florianópolis tiveram que fazer reformas necessárias para retomar o aspecto original da área: sem a interferência do homem. No entanto, a determinação de 1996 para remover a via só foi cumprida mais de uma década após o início da tramitação do processo, em 2010.

Apesar da Justiça ter determinado que a área voltasse a ser protegida ainda em 1996, a decisão não foi suficiente para garantir a proteção, uma vez que os réus continuaram a intervir no local. O processo tramitou durante 18 anos, sendo oficialmente extinto em 2019.

O novo capítulo do imbróglio envolvendo a Lagoa Pequena e a tal estrada se deu em uma tarde de julho de 2008, 12 anos após a redefinição dos limites de proteção. Naquele dia os técnicos da Floram foram até a rua das Gaivotas depois de receberem denúncias. Ao chegar ao local foram recebidos por Wilmar José Borba, um dos filhos de Manoel Borba, e identificaram novamente o aterramento da área.

“[Ele] nos relatou que é dono legítimo das terras, ele e sua família, e que continuaria a aterrar o local, pois não acatará nenhuma ordem vinda da prefeitura”, registraram os técnicos da Floram nos relatórios de fiscalização anexados ao processo. Wilmar afirmou que continuaria a aterrar o terreno pois ainda não havia sido indenizado pela terra que afirmava ser posse da família, mas que foi “perdida” com o tombamento de 1985.

Em um parecer no mês seguinte, a Floram sugeriu a remoção do aterro realizado pelos moradores e ressaltou que a “área de depósito de aterro para a circulação de veículos, por suas características de distância da margem e sujeita a inundações periódicas [daí a necessidade de aterro para a circulação] possui regime especial de proteção não só pelo decreto de tombamento, mas também pela legislação que trata de afastamentos mínimos obrigatórios de corpos d’água permanentes”.

Em fevereiro do ano seguinte a rua não só continuava ali, como deixava de ser apenas uma passagem de carros e começava a ganhar corpo. Em uma nova visita ao local, os técnicos identificaram “uma construção em andamento (fundação e colunas) dentro da Lagoa Pequena”. A obra, também realizada por Wilmar José Borba, tinha 31,5 m².

“Ele próprio nos comunica que já vem sendo autuado pela prefeitura desde 1992 e que tem recorrido de todos os autos que lhe foram aplicados”, registraram os técnicos do órgão. Uma nova multa foi aplicada, mas as irregularidades persistiram.

O Código Florestal, legislação federal que rege sobre o meio ambiente, determina afastamento mínimo de 30 metros do corpo d’água, no qual o trecho passa a ser considerado como área de preservação. A nova construção, no entanto, ficava a 40 metros da Lagoinha em seu tamanho normal.

O dilema do imóvel era escancarado nos períodos chuvosos, quando a lagoa se expande em sua área inundável. Neste cenário, a porta da casa ficava quase na beirada, a apenas cinco metros das águas, registrou um laudo do IGP (Instituto Geral de Perícias) solicitado pela Justiça.

O MPSC (Ministério Público de Santa Catarina) ressaltou no mesmo processo que a área de proteção devia ser demarcada considerando os períodos de cheias da Lagoinha, com o objetivo de evitar prejuízos provocados por enchentes. O problema era crônico: quando ocorriam fortes chuvas, a lagoa “engordava” até alcançar a nova via.

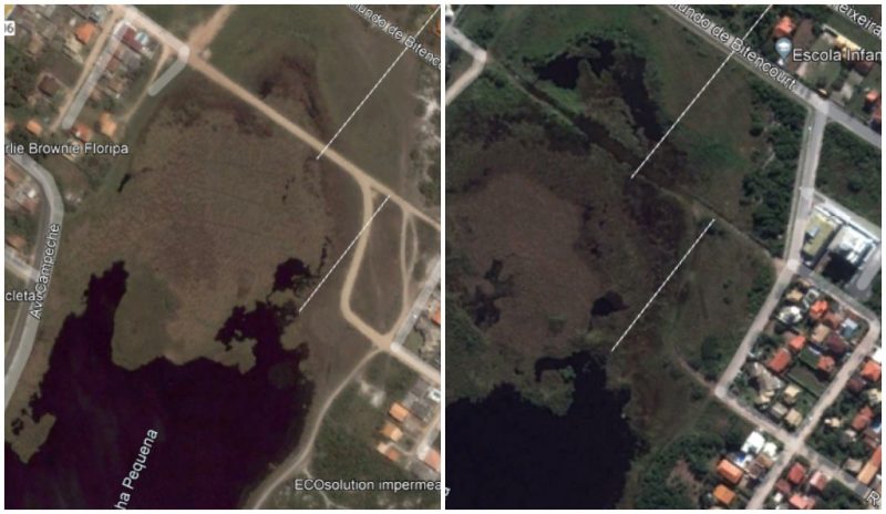
Área onde ficava a rua clandestina no entorno da Lagoa Pequena – Foto: Google Maps/Reprodução/NDÁrea onde ficava a rua clandestina no entorno da Lagoa Pequena – Foto: Google Maps/Reprodução/ND

Essa volatilidade da Lagoa Pequena, abastecida pelas chuvas e pelo afloramento do lençol freático, provocou um terceiro objeto no processo: agora sobre um canal que ligava as águas da Lagoinha Pequena ao mar, afastados 600 metros entre si. A família Borba defendia o aprofundamento do canal, e chegou de fato a realizá-lo após aval de uma decisão judicial para reduzir o volume do espelho d’água.

Para a família, em conversa com a reportagem, a Lagoinha é muito menor do que é hoje, pois teria sido “engordada” com o fechamento de canais naturais que a conectariam com o mar, o que teria comprometido a propriedade particular.

Para tentar resolver o imbróglio, a Justiça solicitou estudos para elucidar se o canal foi aberto pelo homem ou era de fato natural. No entanto, pesquisadores da UFSC (Universidade Federal de Santa Catarina) e do IMA (Instituto do Meio Ambiente de Santa Catarina) chegaram à mesma conclusão. “Baseado nas fotos e nas vistorias, não se encontrou nenhum indício da existência de um canal extravasor natural na Lagoinha Pequena”, concluiu o laudo de abril de 2004 assinado pelo oceanógrafo Carlos Alberto Cassini, o engenheiro agrimensor Aurélio José de Aguiar e o geógrafo João Luiz Godinho, todos membros do IMA.

Os profissionais foram favoráveis à remoção completa do canal e retirada do aterro. “A abertura/aprofundamento do canal extravasor da Lagoinha Pequena causará danos ambientais como o rebaixamento do lençol freático e a diminuição do volume de água doce armazenado pela Lagoinha”.

Segundo os pareceres da Floram, a construção não só desrespeitava a legislação do tombamento e a respectiva área demarcada, mas também a resolução 303/02 do Conama (Conselho Nacional do Meio Ambiente), que prevê a proteção de uma faixa de 30 metros no entorno das lagoas – a norma vigente na época foi revogada em outubro de 2020. A própria realização de aterros e a abertura de novas vias requer aprovação e licenciamento do Município.

No segundo mês de 2009, Wilmar foi multado em R$ 40 mil – pela reincidência da prática ilegal, o valor da multa dobrou. Pedro Manoel Borba Neto, irmão de Wilmar, chegou a recorrer no TJSC (Tribunal de Justiça de Santa Catarina), mas o recurso foi rejeitado no fim de 2009 pelo então desembargador Ricardo Roesler.

A rua ilegal só foi removida no ano seguinte, em 2010, após determinação da 3ª Vara Criminal. Àquela altura a estrada já contava com postes, extensão de rede elétrica e telefonia, situação que exigiu a elaboração de um projeto específico de retirada pela Celesc (Centrais Elétricas de Santa Catarina), documenta o processo. Também estava parcialmente pavimentada e já contava com água encanada.. Ao todo, o aterro contava com 275 m de comprimento e 7,5 m de largura.

Durante nove dias, entre 2 e 10 de fevereiro, cerca de 900 m³ de aterro foram retirados pela Floram com o auxílio de caminhões – o que corresponde a cerca de 180 caçambas de entulho. Toda a estrutura instalada no aterro foi removida e no local da antiga via foram plantadas mudas nativas.

Antes e depois da rua clandestina em imagens de satélite de 2009 e 2011, após demolição determinada pela Justiça – Foto: Google Maps/Reprodução/NDAntes e depois da rua clandestina em imagens de satélite de 2009 e 2011, após demolição determinada pela Justiça – Foto: Google Maps/Reprodução/ND

A reportagem entrou em contato com os irmãos Pedro Manoel e Wilmar, mas eles optaram por não se manifestar. Por meio do advogado informaram que o tema desgastou a família e não queriam tocar no assunto. Para o pai dos réus, Manoel Borba, a Lagoa Pequena passou por um processo de “engordamento” do seu volume, com o aterramento do canal que ligava a Lagoinha e a praia.

“Aquela rua [alvo do processo] é antiga, nós a chamávamos de Picada do Lico. Sempre foi um caminho. O que fizemos não foi aterramento, mas sim um melhoramento pois só passava jipe”, diz Manoel. “A redundância ‘lagoinha pequena’ é justamente por conta do estado menor dela. Antigamente o espelho d’água era extremamente raso, mas foi transformada em uma lagoa de médio porte após a sabotagem do seu canal natural, que escoava as águas”, defende mesmo após o laudo do IGP. Essa mudança, segundo ele, começou a partir dos anos 1980.

“[O processo] foi tumultuado desde o início. Abandonei porque era tudo favoritismo. O aterro que realizávamos era para tapar o buraco que a chuva provocava”, diz. Com a reclassificação da proteção ambiental da região, agora inserida nos limites do Parque Natural Municipal das Dunas da Lagoa da Conceição, a família planeja pedir indenização pelo terreno.

O argumento de Borba se apoia em uma imagem aérea de 1957, que mostra o volume da Lagoa Pequena drasticamente menor que o de hoje. A reportagem teve acesso a outras três imagens aéreas da Lagoinha, disponibilizadas pela SDE (Secretaria de Estado de Desenvolvimento Econômico Sustentável) e que mostram o corpo d’água nas décadas de 1930, 50 e 60.

Ao comparar as fotos é possível perceber o dinamismo desta lagoa – há momentos em que as águas engolem o trecho onde estava instalado o antigo aterro e momentos em que o corpo está afastado.

As chuvas que carregam a poluição

A tal rua polêmica virou história, mas ainda persiste a herança da urbanização acelerada na região, principalmente em suas partes Norte e Oeste. “A simples análise das fotografias juntadas demonstra que existem edificações na área a ser preservada. Fala-se de quase 4.000 metros quadrados construídos”, considerou em 2013 o juiz Hélio do Valle Pereira, membro da Quinta Câmara de Direito Público do TJSC.

Por meio de fotografias, a Justiça considerou em ação de 2013 cerca de 4 mil m² de área construída no local que deveria ser preservado, incluindo construções que já existiam antes do decreto de 1985. “Não se pode cogitar que […] seja imposta simplesmente a desocupação de tais áreas, visto que isso envolve a situação pessoal de terceiros que não tiveram direito e defesa”, destacou Pereira.

Avenida Campeche ao lado da Lagoa Pequena – Foto: Leo Munhoz/NDAvenida Campeche ao lado da Lagoa Pequena – Foto: Leo Munhoz/ND

A herança da ocupação desordenada na Lagoa Pequena é perceptível em sua saúde depois dos dias de chuva. É quando a concentração de coliformes fecais aumenta em suas águas, principalmente na parte Oeste (ao lado da Avenida Campeche). Localizada na parte mais baixa do bairro, as águas da chuva levam até o seio da lagoa dejetos de uma região que ainda não é atendida pela rede de esgoto – problema que acomete todo o Sul da Ilha de Santa Catarina.

É como se a Lagoinha fosse o fundo de um grande penico, recebendo os dejetos dos moradores do entorno com a descarga da gravidade.

As conclusões são de um estudo conduzido por cinco pesquisadores do IFSC (Instituto Federal de Santa Catarina) e publicado no final de 2021. Com dados de 2018, é a análise mais recente localizada pela reportagem, uma vez que esta lagoa não conta com nenhum tipo de análise periódica.

Por meio de análises realizadas entre maio e junho de 2018 em diferentes pontos da lagoa, o estudo identificou uma “correlação entre precipitação e concentração de coliformes fecais, o que pode indicar contaminação da água de escoamento pluvial por esgoto doméstico”.

Na margem mais urbanizada, ao lado da Avenida Campeche, a concentração chega a ser o dobro quando comparada ao outro extremo, na parte Leste. Apesar da proteção conquistada com a inclusão da Lagoinha dentro do Parque Dunas da Lagoa da Conceição, os pesquisadores alertam que “o seu entorno vem sendo urbanizado apresentando problemas de possível irregularidade nas construções”.

“O lançamento de esgoto sanitário na rede de drenagem pluvial trata-se de uma explicação plausível para o fenômeno observado, além do próprio escoamento superficial [a água que percorre a superfície do solo] em direção à lagoa que pode contribuir para aumento da concentração de coliformes na água”, detalham os pesquisadores.

Lagoa Pequena – Foto: Leo Munhoz/NDLagoa Pequena – Foto: Leo Munhoz/ND

A urgência do monitoramento e saneamento no Sul da Ilha

É urgente construir a rede de saneamento básico e monitorar a Lagoinha, concluem os pesquisadores. Os técnicos indicam a necessidade de combater o esgoto sanitário sem tratamento, seja por despejo direto, indireto ou pelo lençol freático. Além disso, ressaltam a carência de um monitoramento recorrente das águas no ponto mais afetado pela urbanização.

Cabe ressaltar que a população no entorno mais do que dobrou entre 2000 e 2010, passando de 857 para 1.637, segundo dados do IBGE (Instituto Brasileiro de Geografia e Estatística). O Censo 2022, que atualizará as informações referentes à ocupação nos bairros de Florianópolis, é realizado durante o fechamento desta reportagem.

A Prefeitura de Florianópolis informou que “possui interesse no monitoramento da qualidade das águas da Lagoa Pequena e está iniciando planejamento para viabilizar o acompanhamento”. O monitoramento é considerado na elaboração do Plano de Manejo da Unidade de Conservação, uma vez que em 2018 a Lagoa Pequena foi incluída no Parque Natural Municipal das Dunas da Lagoa da Conceição.

“A inserção da Lagoa Pequena no Parque Natural Municipal das Dunas da Lagoa da Conceição garante maior proteção e zelo com o importante recurso hídrico”, ressaltou a Floram.

Lagoa Pequena – Foto: Leo Munhoz/NDLagoa Pequena – Foto: Leo Munhoz/ND

A empresa Geo Brasilis começou a elaborar o Plano de Manejo do parque em agosto deste ano, após assinar contrato com a Prefeitura de Florianópolis que prevê também a realização dos planos de outros seis parques municipais da Capital. O contrato resolve uma carência compartilhada entre eles. Por lei, a Prefeitura deve definir a legislação em até cinco anos após a criação dos parques.

Após um estudo detalhado, a cartilha define como deve ser utilizada a região e as ações necessárias para o seu cuidado. “Estudos de fauna, flora, análises de água, dentre outros [realizados durante o Plano de Manejo] vão permitir saber o que deve ser feito, direcionar os recursos e possibilitar uma conservação melhor do parque e da lagoa. É o Plano de Manejo que vai delimitar os usos e as vocações de cada Unidade de Conservação”, explica a superintendente da Floram, Beatriz Kowalski.

Nos próximos meses a Floram deve anunciar um cronograma de audiências com a comunidade, onde serão recebidas sugestões. A ideia é tornar o processo participativo, segundo a fundação. A redação do Plano de Manejo é fiscalizada pelos conselhos consultivos dos parque e pela Depuc (Departamento de Unidades de Conservação da Floram).

Saneamento básico

Para resolver a situação da carência de saneamento básico no Sul da Ilha, a Casan enviou um projeto para a efetivação do emissário submarino. O sistema prevê o despejo do esgoto doméstico no oceano após tratamento.
Segundo a presidente da companhia, Roberta Maas dos Anjos, atualmente o projeto está em etapa de licenciamento ambiental. “Fizemos as audiências públicas com o IMA, que solicitou novos estudos atualmente em realização”, detalhou a presidente.

Atualmente está em construção no Sul da Ilha de Santa Catarina a ETE Rio Tavares, no entanto ela não atenderá o entorno da Lagoinha Pequena. Segundo a Casan, a prioridade é atender a região com mais densidade populacional no bairro, localizada na porção mais ao Sul – a vizinha Lagoa da Chica será beneficiada com a construção da obra, que está paralisada desde 2020 após o IMA suspender a licença ambiental do empreendimento. A companhia estima que 80% da obra já está concluída. Cerca de 25 mil moradores do Campeche devem ser atendidos.

Continue lendo: Lagoas ameaçadas na Ilha da Santa Catarina

EQUIPE DE REPORTAGEM
REPORTAGEM: Felipe Bottamedi
EDIÇÃO E APOIO REPORTAGEM: Beatriz Carrasco
FOTOGRAFIA: Leo Munhoz
INFOGRAFIA: Gil Jesus
IMAGENS DE DRONE: Jacson Botelho e Karina Koppe
EDIÇÃO DE VÍDEO: Gustavo Bruning
DESIGN PÁGINA PRINCIPAL: Luis Debiasi

Tópicos relacionados