Furacão Fiona é elevado para categoria 4; há mortos

Tempestade segue ganhando força ao avançar por águas mais quentes e causou destruição na República Dominicana e Porto Rico

Foto de San Juan, Porto Rico

San Juan, Porto Rico AFP

Receba as principais notícias no WhatsApp

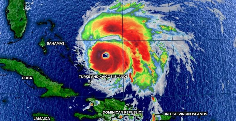
O furacão Fiona foi elevado para a categoria 4 nesta quarta-feira (21), após afetar as Ilhas Turcas e Caicos e provocar mortes, inundações e graves danos materiais em sua passagem por Porto Rico e República Dominicana.

Furacão Fiona – Foto: WLTX/Reprodução/NDFuracão Fiona – Foto: WLTX/Reprodução/ND

De acordo com o Centro Nacional de Furacões dos Estados Unidos, os ventos alcançam 210 km/h e Fiona deve atingir as Bermudas na quinta-feira (22).

O Centro Nacional de Furacões informou ainda que o furacão estava 170 km ao Norte de Turcas e Caicos e subiu para a categoria 4, a segunda maior na escala Saffir-Simpson.

Faça como milhões de leitores informados: siga o ND Mais no Google. Seguir

“As ondas provocadas por Fiona devem atingir Bermudas na manhã de quinta. O fenômeno pode provocar ondas e correntes que colocam a vida em risco”, afirma o boletim mais recente do órgão.

“O furacão Fiona demonstrou ser uma tempestade imprevisível”, disse Anya Williams, vice-governadora de Turcas e Caicos. O fenômeno não provocou mortes no território britânico de ultramar.

Até o momento, o furacão deixou cinco mortos: um no território ultramarino francês de Guadalupe, dois em Porto Rico e outros dois na República Dominicana.

Destruição

O presidente de República Dominicana, Luis Abinader, declarou três províncias do Leste como zonas de desastre: La Altagracia, que abriga o popular balneário de Punta Cana; El Seibo; e Hato Mayor.

Fiona afetou residências e causou sérios danos na infraestrutura de serviços básicos deste país de 10,5 milhões de habitantes. As autoridades reportaram nesta terça-feira que mais de 10.000 pessoas foram evacuadas para “áreas seguras” e que cerca de 400.000 estão sem energia elétrica e 1,2 milhão, sem água.

Imagens da imprensa local mostraram os moradores da cidade de Higüey, na costa leste, com a água pela cintura, tentando salvar seus pertences. “Aconteceu muito rápido”, disse Vicente López à AFP, na praia de Puntacanera, em Bibijagua, lamentando a destruição dos estabelecimentos comerciais no local.

Danos “devastadores” em Porto Rico

Em Porto Rico, onde o furacão tocou o solo no domingo, o governador Pedro Pierluisi descreveu os danos causados pela tempestade na terça-feira como “devastadores”. “Isso é difícil, há muitos danos e ainda estamos avaliando a extensão dos mesmos”, disse em coletiva de imprensa.

Fiona causou deslizamentos de terra, bloqueou estradas e derrubou árvores, linhas de energia e pontes ao passar pela ilha de três milhões de habitantes, território livre associado aos Estados Unidos.

Na tarde de terça-feira, apenas 300.000 pessoas tinham energia elétrica em suas casas após o apagão geral causado pela tempestade no domingo, informaram as autoridades. E cerca de 760.000 pessoas permaneciam sem água potável em suas casas como resultado de falta de energia e cheia de rios.

Jorge Cintrón, morador de La Parguera, na costa sudoeste do país, sofreu danos materiais em sua casa e em seu negócio, um salão de beleza. “A experiência foi horrível. Foi muito impressionante sentir os ventos e ver como as coisas foram levantadas”, contou à AFP por telefone.

“Destruiu o pátio que eu havia acabado de reformar. Foi aí que chorei, porque depois dos sacrifícios que se faz para ter suas coisas, não é fácil perdê-las. Mas vou me levantar. Se tenho minha vida e minha mãe está bem, o resto vem como consequência”, disse o homem de 57 anos.

Após anos de problemas financeiros e de recessão, em 2017, Porto Rico declarou quebra, a maior já anunciada por uma administração local dos Estados Unidos. Mais tarde, neste mesmo ano, o duplo golpe de dois furacões, Irma e Maria, aprofundou a miséria e devastou a rede elétrica da ilha, que há anos sofre grandes problemas de infraestrutura.

A rede foi privatizada em junho de 2021 em um esforço para resolver a ocorrência de apagões, mas o problema persiste. No início deste ano, por exemplo, toda ilha ficou sem luz.