Super tufão em SC? Veja caminho percorrido pelo Hinnamnor, com mais de 200 km/h

Fenômeno ganha força ao 'absorver' outros sistemas meteorológicos e faz parte da climatologia da região onde se forma

Foto de Redação ND

Redação ND Florianópolis

Receba as principais notícias no WhatsApp

Com ventos de mais de 240km/h, o ciclone extratropical considerado o mais forte de 2022, o super tufão ‘Hinnamnor’, atravessa nesta quinta-feira (2) o Oceano Pacífico e deve atingir ilhas do Japão e o Sul da Coreia. Felizmente, não há a menor chance do fenômeno alcançar Santa Catarina.

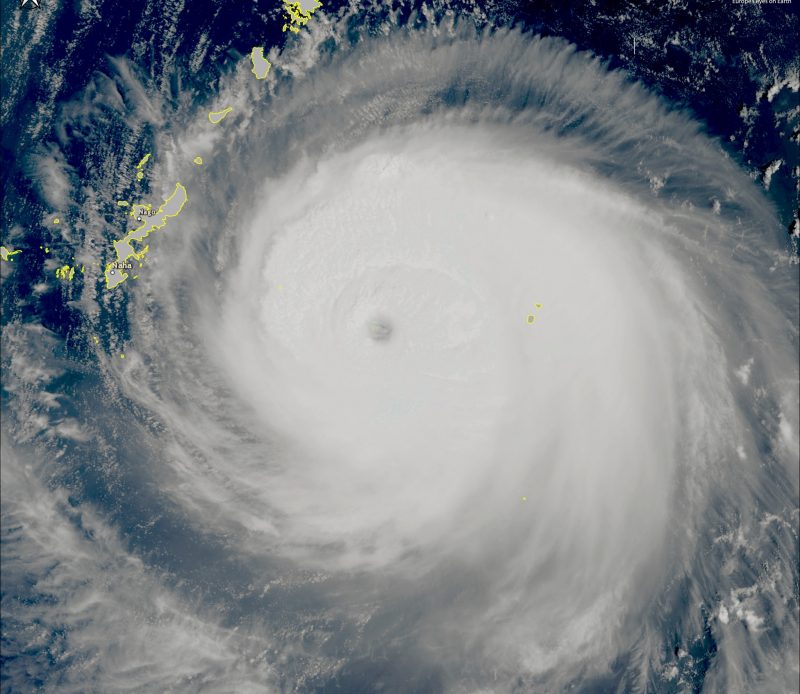
super tufão se forma no sul da ásia e não deve atingir SCImagem de satélite mostra formação do tufão – Foto: Copernicus/European Earth Observation and Monitoring Programme/Divulgação/ND

Os moradores de Santa Catarina, que foram atingidos em 2020 pelo ciclone bomba, estão salvos por conta da distância – o tufão se forma do outro lado do planeta. “Não tem nenhuma influência aqui”, ressalta o meteorologista Piter Scheuer.

“Esse super tufão tem vento e rajadas de aproximadamente 300km/h, é um vento destrutivo. O fenômeno faz parte da climatologia daquela região [Sul da Ásia]”, detalha Scheuer. O tufão também absorve outros sistemas meteorológicos.

Faça como milhões de leitores informados: siga o ND Mais no Google. Seguir

Segundo o meteorologista, estes furacões são normais devido à temperatura mais elevada dos oceanos. “Os mares viran uma maquina térmica para sustentar os ciclones permitir que eles fiquem por alguns dias”, explica.

Quais regiões devem ser atingidas?

Na manhã desta quinta-feira (1º), o fenômeno de categoria 5 (a mais alta na escala) estava a cerca de 230km do arquipélago de Okinawa, no Japão, segundo o Hong Kong Observatory. Todos os voos para as ilhas foram cancelados.

De acordo com a JMA (Agência Meteorológica Japonesa) o furação deve atingir parte do Sudeste do Japão, Leste da China e Sul da Coreia. O fenômeno deve enfraquecer na sexta-feira. No entanto, no fim de semana, o tufão deve ganhar força e ir em direção à porção Norte.

Entre sábado e domingo, o supertufão deve alcançar as ilhas Sakishima, no Extremo Sul do Japão.

Tópicos relacionados